土地
アイコンの説明
値下げ2週間以内の価格更新
新情報2週間以内の新規公開物件
毎土日祝売出現地・オープンハウス開催中
スマホ・PCで内見360°パノラマツアー公開中
すぐ見れる完成済みや空家のお家を気軽に内見
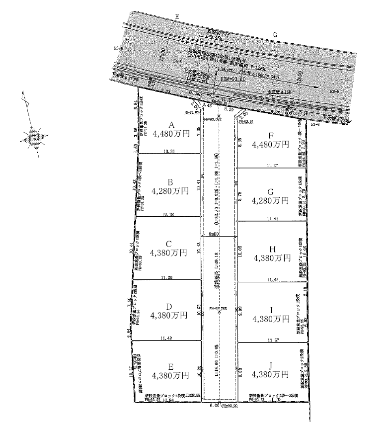
<I号区>☆前面6m道路×建築条件付売地☆
多摩都市モノレール線「砂川七番」駅徒歩10分、駅徒歩圏の安定立地♪
◆土地115u超◆小中学校徒歩5分圏内◆都市ガス
写真枚数:10枚
| 小学校区 | 立川市立幸小学校(東京都立川市)この学区の他の物件を見る |
|---|---|
| 中学校区 | 立川第四中学校(東京都立川市)この学区の他の物件を見る |
※物件情報の学区情報について
当サイト物件情報に記載されております通学区域(学区)情報は、国土数値情報ダウンロードサービスが提供する小学校区データ【2016年度】及び中学校区データ【2016年度】を元に加工したものですので、記載情報が現在の学区域と異なる場合がございます。
国土数値情報ダウンロードサービスのWEBサイト上で記述通り、データは必ずしも正確とは言えません。また、通学区域(学区)は毎年見直しの対象となりますので、そちらを踏まえ学区情報は参考としてご活用下さい。
| 価格 | 万円 | ||
|---|---|---|---|
| 年利率 | % |
||
| ボーナス払い | |||
| 返済年数 | |||
| 頭金 | 万円 | ||

毎月のご返済額 |
ボーナス(×年2回) |
物件価格4,380万円 |
| 価格 | 4,380万円 | ||
|---|---|---|---|
| 物件種別 | 土地 | ||
| 所在地 | 東京都立川市幸町5丁目 | ||
| 交通 | 多摩都市モノレール 砂川七番 徒歩10分 | ||
| 土地面積 | 115.07m² (34.81坪) | ||
| 坪単価 | 125.83万円 /坪 | ||
| 建ぺい率 | 40 % | 容積率 | 80 % |
| 建築条件 | あり | 土地権利 | 所有権 |
| 現況 | 更地 | 引渡し | 相談 |
| 私道負担面積 | - |
セットバック | - |
| 地勢 | 地目 | 宅地 | |
| 接道状況 | 接道: 西 6m 私道 | ||
| 用途地域 |
第一種低層住居専用地域
-
|
||
| 都市計画 | 市街化区域 | ||
| 法令上の制限 | 景観法、航空法、高度地区、準防火地域 | ||
| 国土法届出 | - | ||
| 取引態様 | 仲介 | ||
| 情報更新日 | 2026年05月08日 | ||
| 次回更新日 | 2026年05月22日 | ||
※各種情報と差異がある場合は現況優先となります


立川市幸町5丁目
4280万円〜4480万円
価格
4,380万円
所在地
東京都立川市幸町5丁目
交通
多摩都市モノレール 砂川七番 徒歩10分
土地面積
115.07m²
建物面積
0u
物件番号:RHS-tt-908-I
電話で問い合わせ
0120-034-021
この物件を
携帯で見る

条件を指定して探す
家とともに育む喜びを
「わが家」で。
弊社では、東大和市・
武蔵村山市・立川市エリアを
中心に 戸建て・マンション・
土地の売却に関するご相談を
うけたまわっております。